This property is for Public Auction and comes from an updated list from the Philippine Deposit Insurance Corporation (PDIC), last retrieved on 2026-March-30. Details below.
Property details
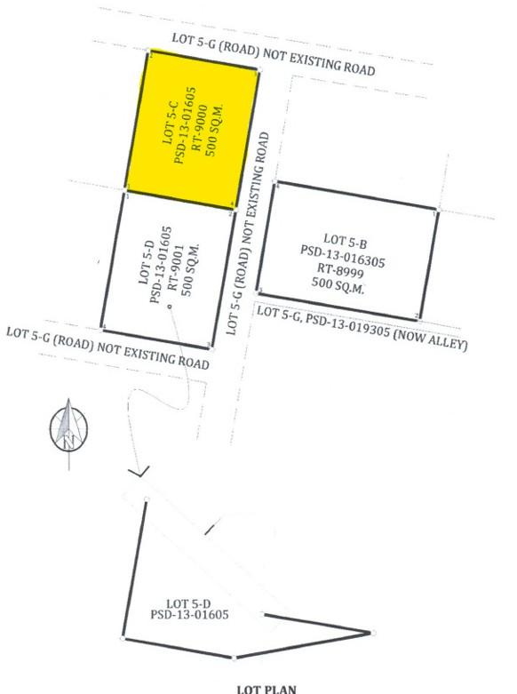
- Property Code: 10729000000198
- TCT/TD/OCT: TCT No.: RT-9000
- Description: Residential – Vacant Lot (Occupied)
- Location: Lot 5-C, Psd-13-016305, Brgy. Kinabjangan (formerly part of Brgy. Triangulo), Nasipit, Agusan Del Norte
- Area(sqm): 500.00
- Minimum Disposal Price: PHP 380,800.00
- Remarks: Awaiting Bidding Schedule
- Disclosures: 1, 7, 13, 14, 23 (See legend below)
Disclosures
1 – Title and/or TD registered in the name of the former owner/mortgagor/borrower/third party
7 – Improvement without tax declaration
13 – With unpaid taxes and/or dues
14 – With informal dwellers
23 – Inconsistencies in data found in any of the following documents: title (old and new) and TD (old and new), COS, Dacion document and Deed of Assignments – correction for buyer´s account
“PDIC reserves the right to withdraw, without prior notice, any or all of the properties offered for sale any time before the deadline for submission of bids”
View more pictures and other details (if available)
To view pictures and other details available for this property, you may view the original listing from the PDIC website through the following link:
Here’s a guide for joining the public bidding
HOW TO PARTICIPATE IN THE PDIC PUBLIC BIDDING
- Check PDIC’s Invitation to Bid for the list of properties up for bidding on https://assetsforsale.pdic.gov.ph/.
- Interested buyers are advised to physically inspect the properties they are interested in, examine and verify the titles and other evidence of ownership, and determine any unpaid taxes, fees, charges and/or expenses before submitting their bids.
- Refer to the Checklist of Requirements for the things you need to prepare to join the public bidding.
- Read and accomplish the following Bid Documents, which may be downloaded for free:
- Submit on the indicated schedule of the public bidding.
Source: Original listing on PDIC’s website
Want to get notified when this is updated? Subscribe for free updates!
Get new/updated foreclosed listings, auction schedules, property buying tips, and more, sent straight to your email inbox. It's free!
View complete list of PDIC foreclosed properties
To view the complete list of properties included in this update, you may visit the following page:
Disclaimer and Reminders
- All foreclosed properties are for sale on an “AS IS, WHERE IS” basis. Interested parties are reminded to conduct proper due diligence prior to the purchase of any foreclosed property.
- Availability, prices, and property status are subject to change without prior notice.
- Misprints should not be construed as misrepresentation of the property.
Last updated on 2026-March-30 with data from the original listing on PDIC’s website: Original Listing for Property Code: 10729000000198
