This property is from the Batch # 15305 (Negotiated Sale). It is handled by Pag-IBIG BACOLOD BRANCH.
ACCEPTANCE OF BIDS/OFFERS WILL BE ON: May. 4, 2026 12:00 AM – May. 8, 2026 11:59 PM. More details below.
Property details
- Property Source: Pag-IBIG
- Handling Branch: BACOLOD BRANCH
- ROPA ID: 858201906240003 (Newly-Listed:2026-APRIL-27)
- Disposal Stage: Negotiated Sale Batch # 15305
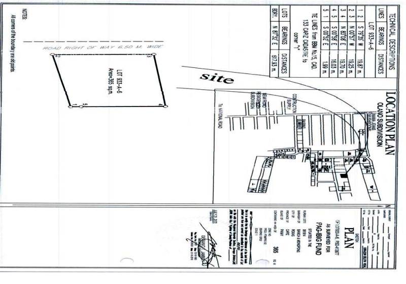
- Property Location (address): Lot 933-A-6 OLANO SUBD. MONGPONG, ROXAS CITY, CAPIZ, 5800
- Region: REGION 6 (WESTERN VISAYAS)
- Province: CAPIZ
- City/Municipality: ROXAS CITY
- Subdivision: OLANO SUBD.
- Type: Lot Only
- TCT/CCT Number: 097-2019000132
- Lot Area (sqm): 365.00
- Floor Area (sqm): 0.00
- MINIMUM GROSS SELLING PRICE (PHP): PHP 1,058,500.00
- Appraisal Date: 11/Nov/2024
- Remarks: UNOCCUPIED-LOT – TITLE UNDER HDMF
Negotiated Sale Info, Guidelines and Step-By-Step Procedure
- Publication Batch: 15305 (Negotiated Sale)
- Period of Acceptance of bids/offers: May. 4, 2026 12:00 AM – May. 8, 2026 11:59 PM
- View Steps to buy on Pag-IBIG’s website:
How to view the original listing on Pag-IBIG’s website (and submit a bid/offer):
⚠️Important: Pag-IBIG’s website doesn’t support direct links to individual listings. You will need to search for it manually using the steps below (only takes 1 to 2 minutes!)
Step 1: Go to Pag-IBIG’s Online Public Auction page: https://www.pagibigfundservices.com/OnlinePublicAuction/ and click “See list of properties” (or just scroll down)
Step 2: Under “Select your Preferred Location:” choose the following:
-
- Region: REGION 6 (WESTERN VISAYAS)
- Province: CAPIZ
- City/Municipality: ROXAS CITY
and then click the “Search” Button
Step 3: Click the tab for Negotiated Sale
Step 4: Find the property by looking for the listing that matches all of the following:
-
- Subdivision: OLANO SUBD.
- Lot Area (sqm): 365.00
- Floor Area (sqm): 0.00
- Price: PHP 1,058,500.00
Tip: Properties are sorted from cheapest to highest price, scroll until you see the same price range
Step 5: Navigate pages if needed. If you don’t find it on the first page, click Next and repeat.
Note: If you reach the last page and you did not find it, Pag-IBIG has probably deleted it (they usually delete listings when the acceptance of bids/offers ends).
Step 6: Click the “View More Details” link for more information for your target property. If today’s date is within May. 4, 2026 12:00 AM – May. 8, 2026 11:59 PM, the “Submit Offer” button will be available and you can proceed with the submission of bid/offer.
Note: The “Submit Offer” button will NOT SHOW if today’s date is NOT within the Period of Acceptance of Bids/Offers
Pag-IBIG encourages prospective buyers to check their website just in case there are updates for any of their listings. For example, some listings are removed due to errors or problems with the property. The only way to check is by viewing the original listing, using the instructions above.
If you have questions about the property from Pag-IBIG’s website, PLEASE CONTACT THEM DIRECTLY! See below.
Reminder: For inquiries, more property details/clarification, please contact Pag-IBIG contact person(s) DIRECTLY!
Contact info:
Pag-IBIG Handling Branch: BACOLOD BRANCH
Telephone: 09621804546, 09271446454
Email: pjmabasa@pagibigfund.gov.ph, abtan@pagibigfund.gov.ph
To see answers to frequently asked questions about Pag-IBIG foreclosed properties/acquired assets, refer to the page below.
View more Pag-IBIG foreclosed properties and FAQ’s
We receive so many questions about Pag-IBIG foreclosed properties and we compiled answers in one page for easy reference.
Do you have questions like any of the following?
Want to view our compilation (updated weekly) of Pag-IBIG foreclosed properties for sale?
Are you thinking of buying an occupied property because it is cheap?
Want to find a particular property from a previous listing?
Have other questions about Pag-IBIG foreclosed properties/acquired assets?
If yes, find answers in the following page:
Want to get notified when this is updated? Subscribe for free updates!
Get new/updated foreclosed listings, auction schedules, property buying tips, and more, sent straight to your email inbox. It's free!
==> Pag-IBIG foreclosed properties for sale, schedules, and FAQ’s
Disclaimer and Reminders
- All foreclosed properties are for sale on an “AS IS, WHERE IS” basis. Interested parties are reminded to conduct proper due diligence prior to the purchase of any foreclosed property.
- Availability, prices, and property status are subject to change without prior notice.
- Misprints should not be construed as misrepresentation of the property.
~~~~
Last updated on: 2026-APRIL-27
Source: All data/picture (when available) are from the original listing at https://www.pagibigfundservices.com/OnlinePublicAuction/ as retrieved on 2026-APRIL-27 for the MAY-2026 schedules/listings). The photo (when available) is just a preview. More photos may be available on Pag-IBIG’s website.
Disclosure: This is a Public Service Announcement for all interested parties who are looking for foreclosed properties from Pag-IBIG. We do not sell these foreclosed properties, we are NOT accredited with Pag-IBIG.
Pag-IBIG does not accredit real estate brokers/agents.
All interested parties are advised to transact with Pag-IBIG directly.
