This property is included in the latest list of foreclosed properties from Bahay Financial Services (BFS) that are for negotiated sale, updated as of 2025-October-08. More details below.
Property Details
Property Source: Bahay Financial Services or BFS (For inquiries, please contact BFS directly!):
BFS Email Address
- PropertySales@bfs.com.ph
BFS Telephone Numbers + Office Addresses
You may call/visit BFS offices at the following locations:
- Bonifacio Global City (Head Office):
- 22nd Floor, A.T. Yuchengco Center (formerly RCBC Savings Bank Corporate Center), 25th and 26th Streets, Bonifacio Global City, Bonifacio Global South, Taguig, Philippines
- Trunkline: (02) 7750-3888
- Davao Office:
- Unit 301, Plaza de Luisa, Ramon Magsaysay Avenue, Davao City, Davao, Philippines 1634
- Telephone: +6382 221-0809



- Property ID (Account Number): AN-1930305
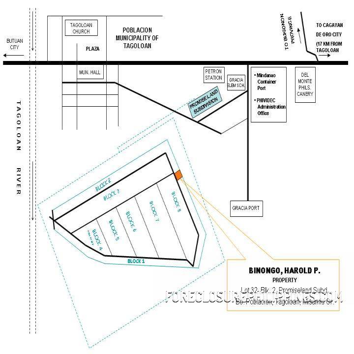
- Vicinity: Tagoloan, Misamis Oriental
- Address:
- Block: Blk-2
- Lot: Lot-32
- Street: Road Lot 1
- Phase:
- Subdivision: PROMISELAND SUBD.
- Barangay: Brgy. Poblacion
- City/Municipality: TAGOLOAN
- Province: Misamis Oriental
- Lot Area (sqm): 100.00
- Floor Area (sqm): 200.00
- Property Type: House and Lot
- Offer Price (PHP): 1,805,000.00
- Foreclosure Stage: Under Foreclosure
- Occupancy: Occupied
~~~
View all BFS foreclosed properties
You may view all BFS foreclosed properties included in their latest update on the page below:
==> All BFS Foreclosed Properties for sale
Discounts are available:
-> SPOT CASH BUYERS GET THE BIGGEST DISCOUNTS!
-> Discounts between 5% and 40%+++!
-> UP TO Php 500K PRICE DROP on some properties!
* Don’t forget to tell BFS that you learned about them from ForeclosurePhilippines.com to get the best deals!
** Offer prices are subject to change without prior notice.
*** BFS does not make any representations on its properties. We encourage you to make an ocular inspection of the property as these are sold “As is, Where is” and the pictures contained herein may vary.
Want to get notified when this is updated? Subscribe for free updates!
Get new/updated foreclosed listings, auction schedules, property buying tips, and more, sent straight to your email inbox. It's free!
How to buy foreclosed properties from BFS
Here’s a step-by-step guide from BFS:

Source: BFS Facebook page
~~~
Contact Details
To inquire and get more details, please have the property account number ready and contact BFS directly through the following:
BFS Email Address
- PropertySales@bfs.com.ph
BFS Telephone Numbers + Office Addresses
You may also call/visit BFS offices at the following locations:
- Bonifacio Global City (Head Office)
- 22nd Floor, A.T. Yuchengco Center (formerly RCBC Savings Bank Corporate Center), 25th and 26th Streets, Bonifacio Global City, Bonifacio Global South, Taguig, Philippines
- Trunkline: (02) 7750-3888
- Davao Office
- Unit 301, Plaza de Luisa, Ramon Magsaysay Avenue, Davao City, Davao, Philippines 1634
- Telephone: +6382 221-0809
~~~
Last updated with data retrieved last 2025-October-08 from file bfs-2025-October-08-foreclosed-properties-external.pdf
Note: Additional info may also be available on the original listing on the BFS website

