This property is included in the list of Philippine Veterans Bank foreclosed properties for sale, as retrieved last 2026-FEBRUARY-17. More details below.
Property details
- Property Source: Philippine Veterans Bank
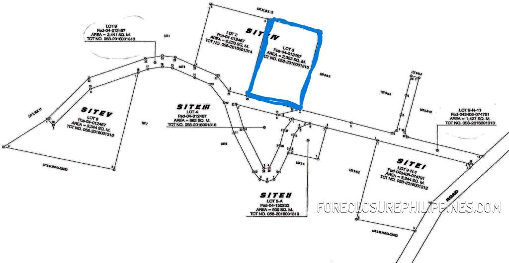
- Title Number: 058-2016001315
- Province: Laguna
- City: Calauan
- Location: Lot 3 Sitio Tamblong, Barangay Limao (And Del Carmen,) Calauan, Laguna
- Category: Agricultural
- Lot Area (sqm): 2,323.00
- Floor Area (sqm):
- Selling Price (PHP): 3,954,000.00
- Notes:
Prices subject to change without prior notice
How to inquire
You may submit your inquiries and/or submit an offer on the original listing’s page at Philippine Veterans Website using the button below:
You may also contact them using the contact info below.
PVB Contact Details
- Acquired Assets Department
- (02) 7902 1600
- (02) 8857 3800 loc. nos. 8303; 8302; 3889; 3887
- (02) 7902 1693
- Email: assetsrecovery@veteransbank.com.ph
Want more more pictures/additional data (if available)?
The above picture is just a preview, more pictures (and any additional data they might add) can be found on the original listing for this property on the Philippine Veterans Bank website. See direct link below:
Note: If the property is not found on the page above, it might be sold already. Visit this page to search for other available properties:
Payment terms
- According to their website, you can get bank in-house financing. For more details, please contact Philippine Veterans Bank with the following contact details:
- Telephone: (02) 7902 1600 / (02) 8857 3800 loc. nos. 8303; 8302; 3889; 3887 / (02) 7902 1693
- Telefax: (02) 8840 3674
- Email: assetsrecovery@veteransbank.com.ph
Want to get notified when this is updated? Subscribe for free updates!
Get new/updated foreclosed listings, auction schedules, property buying tips, and more, sent straight to your email inbox. It's free!
How to avail (Summary)
Foreclosed properties from Philippine Veterans Bank are for negotiated sale, so you simply have to submit an offer (no need to go through auction). In summary:
- Confirm availability of your preferred property by confirming with Philippine Veterans Bank (refer to contact details below).
- Get available details and do your due diligence (Inspect property, check documents, etc.)
- If you are satisfied with the results of your due diligence, contact Philippine Veterans Bank to submit an offer. Again, get details from Philippine Veterans Bank directly with regard to the forms to use, requirements, payment process, mode of payment, etc.
- Wait for Philippine Veterans Bank to contact you if your offer has been approved (or not).
Note: The above is just a general summary. Please contact Philippine Veterans Bank directly for more details.
View complete list of Philippine Veterans Bank foreclosed properties in this update
To view the latest list of Philippine Veterans Bank foreclosed properties and more details about this update, you may visit my article about it here:
==> Philippine Veterans Bank foreclosed properties for sale
Disclaimer and Reminders
- All foreclosed properties are for sale on an “AS IS, WHERE IS” basis. Interested parties are reminded to conduct proper due diligence prior to the purchase of any foreclosed property.
- Availability, prices, and property status are subject to change without prior notice.
- Misprints should not be construed as misrepresentation of the property.
Last updated on: 2026-FEBRUARY-17 with data from the original listing at Philippine Veterans Bank’s Official Website
Note: Property availability may change without prior notice, you can check the original listing on Philippine Veterans Bank’s website.
Full Disclosure: Nothing to disclose, this listing is being shared as a public service announcement for the benefit of the general public who are looking for foreclosed properties.
~ Jay Castillo – Owner and founder of foreclosurephilippines.com
